【通人必携花柳の栞】明治27年
著者 山田嘯月 編
出版者 川辺文金堂
出版年月日 明27.2
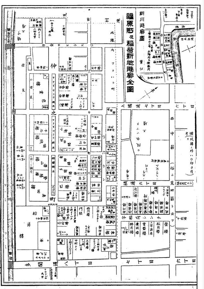
福原町及稻荷新地遊廓全圖 新川遊廓圖
https://dl.ndl.go.jp/pid/768033/1/2
〇藝妓細見之部
◎神戸中撿番 元町通五丁目
https://dl.ndl.go.jp/pid/768033/1/14
◎神戸西撿番 元町通六丁目
https://dl.ndl.go.jp/pid/768033/1/19
◎福原福撿番 福原町仲ノ町
https://dl.ndl.go.jp/pid/768033/1/20
◎福原新撿番 福原町舊大門東入
https://dl.ndl.go.jp/pid/768033/1/21
◎柳原淀撿番 西柳原町(淀川又七方)
https://dl.ndl.go.jp/pid/768033/1/22
◎柳原中撿番 北逆瀨川町
https://dl.ndl.go.jp/pid/768033/1/23
◎新川 今出在家町(撿番ナシ)
藝妓統計
神戸中撿番 百七十五人
神戸西撿番 二十七人
福原福撿番 五十人
福原新撿番 三十七人
柳原淀撿番 二十四人
柳原中撿番 二十六人
新 川 壹人
合 計 三百四十人
https://dl.ndl.go.jp/pid/768033/1/24
〇娼妓細見之部
◎福原町
一等 色葉樓 福原町三百三十二番屋敷
藤並政次
後見人 古塚利兵衛
一等 松浦樓 福原町四百五十八番屋敷
松浦長兵衛
https://dl.ndl.go.jp/pid/768033/1/25
一等 眞田樓 福原町三百四十番屋敷
阪本よし江
後見人 阪本善七
一等 勢陽樓 福原町三百三十九番屋敷
伊勢秀吉
一等 澤山樓 福原町三百三十八番屋敷
大橋しげ
https://dl.ndl.go.jp/pid/768033/1/26
一等 愉快樓 福原町三百三十七番屋敷
高楠しも
後見人 高楠孫三郎
一等 千石樓 福原町三百三十六番屋敷
紀野こう
一等 寶勢樓 福原町八十一番屋敷
吉田定兵衛
https://dl.ndl.go.jp/pid/768033/1/27
一等 安福樓 福原町八十番屋敷
安福嘉吉
一等 八幡樓 福原町七十九番屋敷
水江たね
後見人 水江寛三郎
一等 山海樓 福原町七十七番屋敷
山西慶二
後見人 古川寅吉
https://dl.ndl.go.jp/pid/768033/1/28
一等 成田樓 福原町七十六番屋敷
友成德次郎
一等 靑柳樓 福原町七十五番屋敷
長澤兵藏
一等 多聞樓 福原町七十四番屋敷
南部新七
https://dl.ndl.go.jp/pid/768033/1/29
一等 巴 樓 福原町七十三番屋敷
大原小まつ
一等 長谷川樓 福原町三十八番屋敷
長谷川九一郎
一等 若松樓 福原町七番屋敷
一等 東 樓 福原町六十番屋敷
米田もと
https://dl.ndl.go.jp/pid/768033/1/30
二等 南越樓 福原町三百五番屋敷
竹内三郎
後見人 白崎眞語
二等 甲子樓 福原町四百三十七番屋敷
淸水こう
後見人 淸水政次郎
(以上各樓月曜日撿査)
一等 三ツ村樓 福原町六十七番屋敷
加納まつ
一等 布引樓 福原町二百二十五番屋敷
門脇常三郎
https://dl.ndl.go.jp/pid/768033/1/31
一等 勢州楼 福原町六十八番屋敷
川北靜一
後見人 川北五百藏
一等 西村樓 福原町二百十七番屋敷
西村槌藏
一等 玉藏樓 福原町二百〇九番屋敷
藤井きり江
一等 中國樓 福原町二百五十番屋敷
高田嘉介
https://dl.ndl.go.jp/pid/768033/1/32
一等 山 田 福原町二百十三番屋敷
山田一馬
一等 玉井樓 福原町二百四十二番屋敷
中川ちか
一等 西川樓 福原町二百二十六番屋敷
植村松太郎
後見人 泉 善兵衛
一等 牧野樓 福原町二百十六番屋敷
岩本由次郎
後見人 岩本九十郎
一等 高砂樓 福原町六十三番屋敷
松本儀夫(音吉改)
https://dl.ndl.go.jp/pid/768033/1/33
一等 末富樓 福原町百七十六番屋敷
吉田たみ
二等 菊本樓 福原町二百十五番屋敷
北野さと
二等 松 田 福原町二百十番屋敷
松田むめ
二等 淺 井 福原町二百九十三番屋敷
淺井よつ
二等 新成田樓 福原町百七十三番屋敷
服部熊藏
二等 豐國樓 福原町二百四十八番屋敷
上田 實
後見人 上田保兵衛
https://dl.ndl.go.jp/pid/768033/1/34
二等 東愉快樓 福原町二番屋敷
森田利中
三等 朝日樓 福原町二百四十五番屋敷
伊藤小松
三等 玉 崎 福原町百八十三番地
玉崎たま
三等 山口樓 福原町八十二番屋敷
山口ひで
三等 金勢樓 福原町二百三番屋敷
久保佐吉
三等 愛知樓 福原町八十二番屋敷ノ一
伊藤松次郎
https://dl.ndl.go.jp/pid/768033/1/35
三等 曾我部 福原町二百四十三番屋敷
曾我部太七
三等 古 川 福原町二百四番屋敷
古川寅吉
三等 天 池 福原町二百六十五番屋敷
天池德兵衛
三等 富 田 福原町二百三十八番屋敷
富田とよ
後見人 妹尾善藏
三等 眞 柴 福原町二百〇五番屋敷
眞柴重郎兵衛
三等 繁喜樓 福原町二百四十六番屋敷
門脇藤次郎
https://dl.ndl.go.jp/pid/768033/1/36
三等 丸万樓 福原町四番屋敷
十文字よね
三等 南繁喜樓 福原町二百九十八番屋敷
山本たま
三等 菅 原 福原町二百三十九番地
菅原ひさ
三等 靜岡樓 福原町二百九十三番屋敷
西脇さと
三等 加藤樓 福原町百八十四番屋敷
加藤しやう
四等 湊 樓 福原町二百九十六番屋敷
前田こま
https://dl.ndl.go.jp/pid/768033/1/37
四等 貴 志 福原町二百三十七番屋敷
貴志よね
四等 永昌樓 福原町二百四十二番屋敷
中川こま
四等 三浦樓 福原町二十九番屋敷
日根野こと
四等 龜鶴樓 福原町九番屋敷ノ二
櫻井時光
後見人 櫻井義一
四等 山 本 福原町二百三十一番ノ一屋敷
南繁喜ノ支店
山本安太郎
五等 中 村 福原町百七十八番屋敷
中村けい
後見人 久保常吉
五等 壽 樓 福原町百八十番屋敷
板垣いしの
◎稻荷新地(橘通六丁目ノ通稱)
一等 常盤樓 橘通六丁目五番屋敷
吉川彦兵衛
https://dl.ndl.go.jp/pid/768033/1/38
一等 榮 樓 橘通六丁目二番屋敷
增谷しも
一等 成田樓 橘通六丁目二十番屋敷
重岡たね
一等 松月樓 橘通六丁目三番屋敷
寶谷らく支店
後見人 寶谷丈吉
三等 日進樓 橘通六丁目十八番屋敷
寶谷丈吉
二等 新榮樓 橘通六丁目廿九番屋敷
增谷せつ
https://dl.ndl.go.jp/pid/768033/1/39
二等 西川樓 橘通六丁目十一番屋敷
西川よね
二等 廣岡樓 橘通六丁目六番ノ一屋敷
廣岡常吉
二等 杉浦樓 橘通六丁目十三番屋敷
杉浦品藏
三等 勢春樓 橘通六丁目十六番屋敷
近澤淸助
三等 保榮樓 橘通六丁目十二番屋敷
波多野芳藏
三等 長崎樓 橘通六丁目十四番屋敷
井上しげ
https://dl.ndl.go.jp/pid/768033/1/40
三等 播州樓 橘通六丁目廿一番屋敷
小谷まさ
四等 醉月樓 橘通六丁目六番ノ二屋敷
廣瀨しん
五等 近江樓 橘通六丁目廿五番屋敷
大橋ふじ
◎新川(今出在家町ノ通稱)
一等 繁榮樓 今出在家町三百六十八番屋敷
魚谷吉平
一等 宮本樓 今出在家町三百七十一番屋敷
宮本うの
https://dl.ndl.go.jp/pid/768033/1/41
一等 新川樓 今出在家町三百七十五番屋敷
荒川まつ
一等 若山樓 今出在家町三百七十三番屋敷
谷所さよ
三等 小 西 今出在家町三百六十九番屋敷
小西伊介
三等 金榮樓 今出在家町三百七十六番屋敷
波方せい
三等 和田川 今出在家町三百七十二番屋敷
荒田丑松
https://dl.ndl.go.jp/pid/768033/1/42
三等 新榮樓 今出在家町三百六十五番屋敷
四等 柳原樓 今出在家町三百七十七番屋敷
荒川むめ
四等 千石樓 今出在家町三百六十一番屋敷
千林喜介
四等 廣永樓 今出在家町三百六十三番ノ一屋敷
四等 榮 樓 今出在家町三百七十七番屋敷
湯淺かね
(此樓は現今休業中)
娼妓統計
遊 廓 樓 數 娼妓數
福 原 六十二軒 五百五十人
稻荷新地 十五軒 九十二人
新 川 十二軒 八十九人
合計 八十九軒 七百卅一人
https://dl.ndl.go.jp/pid/768033/1/43
〇市内料理店ノ部
◎列次ハ鑑札ノ等級ニ依ル故ニ町所散亂ス
◎神戸部
https://dl.ndl.go.jp/pid/768033/1/44
◎湊東部
https://dl.ndl.go.jp/pid/768033/1/45
◎兵庫部
◎葺合部
◎湊山溫泉前
〇著名飲食店 主トシテ料亭 類似ヲ採錄ス
https://dl.ndl.go.jp/pid/768033/1/46
◎湊東部
https://dl.ndl.go.jp/pid/768033/1/47
◎湊西部
https://dl.ndl.go.jp/pid/768033/1/48
明治廿七年二月廿二日印刷
明治廿七年二月廿五日出版
正價金貳拾五錢
編纂者 山田嘯月
發行兼 川邊安兵衛
印刷者 神戸市北長狭通六丁目百卅四番邸
印刷所 神戸活版所
神戸市元町四丁目百十五番邸
發賣所 川邊文金堂
神戸市北長狭通六丁目
發賣所 文金堂支店
神戸市多聞通裁判所前(井筒太席向)
https://dl.ndl.go.jp/pid/768033/1/52
図書館・個人送信資料利用可 ログイン中【小野一雄】
【 】『国立国会図書館デジタルコレクション』
◇◇◇◇◇◇◇◇◇◇◇◇◇◇◇◇◇◇◇◇◇◇◇◇◇
